Škůdci rostlin patří mezi nejčastější příčiny poškození zahradních i pokojových výsadeb. Napadení se projevuje změnami na listech, zpomalením růstu, deformacemi nebo celkovým oslabením rostliny. Nejde však jen o samotnou přítomnost škůdce, ale o souhru podmínek, které mu umožní se přemnožit. Přehled vysvětluje, jak škůdce rozpoznat, proč se objevují a kdy má zásah skutečný smysl.

🟢 Jak poznat napadení škůdci
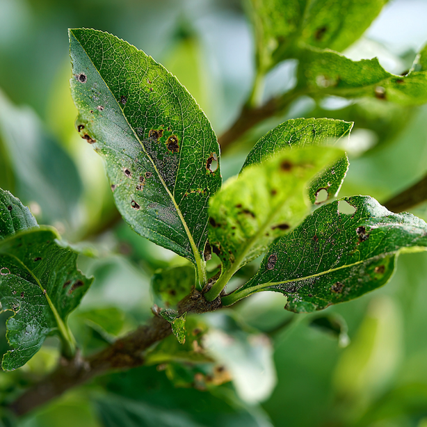
Napadení škůdci se nejčastěji projeví na listech. Typické jsou drobné otvory, okousané okraje, skvrny, změna barvy nebo deformace listové plochy.
U některých škůdců se objevuje lepkavý povrch, jemné pavučinky nebo viditelný drobný hmyz na spodní straně listů.
🟢 Proč se škůdci v zahradě objevují
Škůdci se nevyskytují náhodně. Nejčastěji reagují na oslabení rostliny, jednostrannou výživu, stres ze sucha nebo naopak přemokření.
Významnou roli hraje také absence přirozených nepřátel a dlouhodobě nevhodné pěstební podmínky.
🟢 Kdy je výskyt ještě přirozený
Jednotlivý výskyt škůdců je běžnou součástí zahradního ekosystému a nemusí znamenat problém.
Zásah není nutný, pokud rostlina roste vyrovnaně a poškození se dále nešíří.
🟢 Kdy už je nutné zasáhnout
Zásah je na místě ve chvíli, kdy se škůdci rychle množí, poškození postupuje a rostlina ztrácí vitalitu.
Rozhodující není samotná přítomnost škůdce, ale dynamika napadení a reakce rostliny.
🟢 Základní principy ochrany
Základem ochrany je prevence, podpora přirozené rovnováhy a včasná diagnostika.
Cílem není likvidace veškerého hmyzu, ale udržení stavu, kdy škůdci nepřekračují únosnou hranici.
🟢 Časté dotazy
Jsou škůdci vždy problém?
Ne. Nízký výskyt škůdců je přirozený a často nevyžaduje žádný zásah.
Lze poznat škůdce jen podle poškození listů?
Často ano, ale pro přesné určení je vhodné sledovat i spodní stranu listů a celkový stav rostliny.
Má smysl zasahovat preventivně?
Smysluplná je prevence formou vhodných pěstebních podmínek a podpory rovnováhy, nikoli plošné zásahy.
📚 Související články
Choroby a škůdci paprik (Capsicum annuum)
→ Příklad plodiny, kde prevence a včasná diagnostika hrají klíčovou roli.
🧭 Správné vyhodnocení situace je klíčem k zásahu, který rostlině pomůže a nenaruší rovnováhu v zahradě.
👉 Zpět na přehled témat: Škůdci rostlin
📘 Článek připravil tým ZC Smaragd
